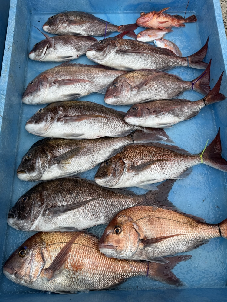
タイラバからスタート。最初は渋そうな感じでしたが風が吹き出して連発し始めました。途中から鳥山にもなりジギングで鰤に真鯛が釣れました。真鯛も青物も良い感じなのでどちらを狙うかはその日とその時間によって変わります。今日は真鯛の買い取り希望の方がおられたので買い取り割引させていただきました。釣るのは好きだけど魚は要らないって人が利用されてます。
2025年11月
2025年10月
2025年9月
2025年8月
2025年7月
2025年6月
2025年5月
2025年4月
2025年3月
2025年1月
2024年12月
2024年11月